Skip to content

Genel

Pamuk çizgili yaprak kurdu (Spodoptera exigua), neredeyse tüm böcek ilaçlarına karşı direnci ve yaz aylarında yabani bitki örtüsü üzerinde gelişme kabiliyeti nedeniyle üreticiler için sürekli bir sorun haline gelmiştir. 20'yi aşkın familyaya mensup bitkilerle beslenen, son derece polifag bir türdür. Krizantem, gerbera, gül ve saksı bitkileri gibi süs bitkileriyle beslendiği seralarda ciddi bir zararlıdır. Hem serada hem de tarlada, biberin büyük bir zararlısıdır.

mahsul] için biyolojik çözümlerPamuk çizgili yaprak kurdu

Filtreler:
Tüm filtreleri temizle
Hepsini göster Daha az göster
bulunan ürünler:

Sorularınız veya yardıma mı ihtiyacınız var?

Bir bayi bulun

Hakkında daha fazla bilgi edin:

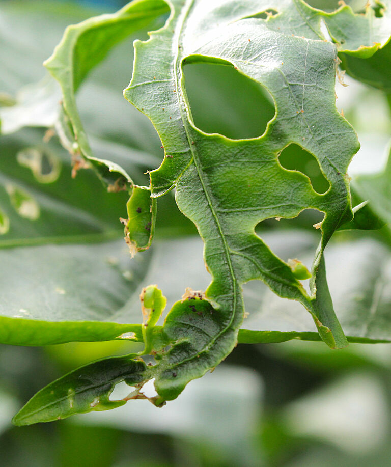
Zarar belirtileri

Yaşlı tırtıllar bitkinin, özellikle büyüyen uçlardan beslendikleri için tepesine doğru göç eder. Yaprakta büyük delikler oluşturur, bazen yaprağı orta damarına kadar sıyırırlar. Çiçekler ve tomurcuklar da saldırıya uğrar. Bu büyük çaplı zararın mahsulün büyümesi açısından önemli sonuçları vardır. Önemli miktarda bir tırtıl popülasyonu olması halinde, zarar saplara ve en kötü durumlarda meyveye yayılabilir. Bu genellikle tüm içeriğin tüketilmesine yol açar. Süs bitkilerinde en büyük zarar çiçeklere ve tomurcuklara yapılan saldırılardan kaynaklanır.

Pamuk çizgili yaprak kurdunun yaşam döngüsü ve görünümü

Pamuk çizgili yaprak kurdu (Spodoptera exigua) gündüzleri gizlenen ve sadece geceleri aktif olan, küçük, sıradan bir güvedir. Ön kanatlar gri-kahverengi olup, koyu kahverengi veya siyah renkle kaplıdır. Baş ve toraks kahverengi, karın gri-kahverengidir. Ön kanatlarda sarımsı, böbrek şeklinde bir iz bulunur. Beyaz arka kanatlar, dış hatları belirgin çizilmiş kahverengi bir damar düzenine sahiptir.

Pamuk çizgili yaprak kurdu (Spodoptera exigua) yumurtalarını kümeler halinde bazen birkaç kat şeklnde, beyaz, pamuklu kıllardan oluşan bir kütleye ve güvenin vücudundaki pullara bırakır. Genellikle gri ve bazen yeşilimsi veya pembemsi olan yumurtalar, geceleri, mahsulün alt kısmına tercihen yaprakların alt tarafına, 10 ila 250 yumurtalık gruplar halinde bırakılır.

Yumurtalar birkaç gün sonra çatlar ve küçük, donuk sarı-yeşil tırtılları açığa çıkarırlar. Renkleri yavaş yavaş sarı, yeşil, kahverengi ve hatta siyaha dönüşür. Tırtılların renk ve desenleri büyük ölçüde değişkendir ve kısmen konukçu bitkiye, gelişim evresine ve iklime bağlıdır. Tam gelişmiş bir pamuk çizgili yaprak kurdu (Spodoptera exigua) tırtılı 25 ila 38 mm uzunluğunda olabilir ve sırtında koyu, buruşuk çizgiler ve her iki tarafta vücut boyunca uzanan sarı birer şerit ve bu şeridin üzerinde, her bir segmentte siyah bir nokta bulunur.

Genç tırtıllar gruplar halinde yaşar ve yaprakların üzerine gevşek ağlar örer ve üçüncü veya dördüncü instara kadar bu ağların altında kalırlar. Daha yaşlı tırtıllar aktif yürüyücülerdir ve önemli mesafeler katedebilirler. Bu nedenle, aynı yumurta kümesinden tırtıllar, mahsulün çeşitli yerlerinde zarara neden olabilir. Pamuk çizgili yaprak kurdu (Spodoptera exigua) çoğunlukla gece beslenip gündüz gizlenir, en genç instarlar ise gündüz beslenir. Tam gelişmiş tırtıllar pupalaşma hazırlığı için toprağa doğru hareket ederler. Pupalaşma bazen mahsulde meydana gelse de, genellikle yapışkan bir salgı ile birbirine yapıştırılmış toprak parçacıklarından oluşan gevşek örülü bir kozada toprağın yüzeyinde gerçekleşir. Pupalar kahverengi ve 15 ila 20 mm uzunluğundadır ve diğer gece güvelerinin pupalarına benzer. Ergin güve, beş veya on gün sonra pupadan çıkar.

Yardıma ihtiyacınız var mı?